
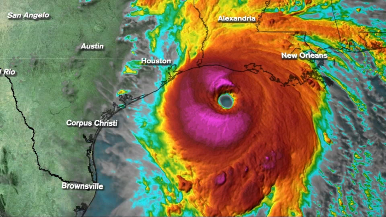
АНУ-ын Луизиана, Техас мужийг нөмрөөд буй “Лаура” далайн хар салхины улмаас эдгээр мужийн 240 мянган оршин суугч гэрэл цахилгаангүй болоод байна гэж poweroutrage.us сайтад мэдээлжээ.
Луизиана мужид нийт 190 мянга, Техаст 52 мянган иргэн цахилгаангүй байна. Дөрөвдүгээр түвшинд хамрагдаад буй “Лаура” хар салхи пүрэв гарагт Мексикийн хойгийн Америкийн эрэгт хүрчээ. Хар салхи 24 км/ц хурдтай хойд зүгийг чиглэж байгаа бөгөөд салхины хурд 66 м/с хүрч байна.
Атлантын далайн бүс нутагт хар салхины улирал зургаадугаар сарын эхээс арваннэгдүгээр сарын сүүлч хүртэл хагас жил үргэлжилдэг байна. Агаар мандлын энэхүү үзэгдлийг халуун бүсийн шуурга гэж ангилдаг бөгөөд салхины хурд 17.5 м/с хүрэхэд нэр хайрладаг байна.

Сэтгэгдэл ( 0 )