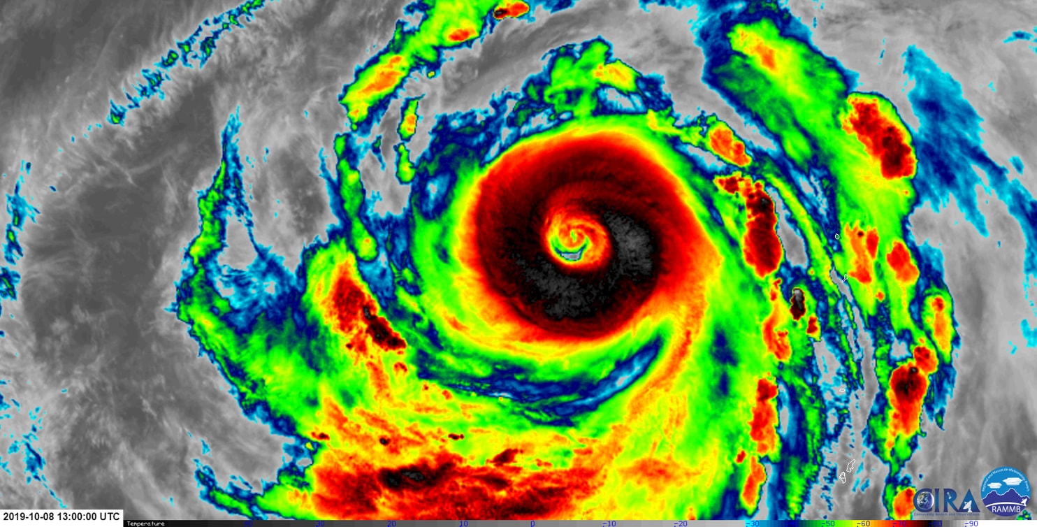
Японы зүүн өмнөд зүгээс төв хэсэг рүү 25 км/ц хурдтай чиглэж буй Хагибис хар салхи агаарын болон төмөр замын тээврийн үйл ажиллагааг тасалдуулахад хүргээд байгаа бөгөөд ойрын хоёр хоног нөхцөл байдал улам хүндрэх гэнэ.
Баасан гарагт /2019.11.11/ Японы JR төмөр замын тээрийн компани өглөөний 09.00 цагаас ням гарагийн үд хүртэл үйл ажиллагаагаа зогсоогоод байна. Японы томоохон нисэх компани болох All Nippon Airways бямба гарагаас ням гарагт шилжих шөнийн олон улсын ихэнх нислэгүүдээ цуцлахаар төлөвлөж буй талаар мэдээлжээ. Мөн ийм арга хэмжээг JAL компани авч байна. Тус хоёр компани нийт 800 орчим нислэгийг цуцлаад байна.
Японы Цаг уурын үндэсний газар Хагибис далайн хар салхийг 1200 хүний амийг авч одсон 1958 оны Ида хар салхитай зүйрлэж байна. Японы цаг уурчид сүүлийн арван жилд байгаагүй их хэмжээний хур тунадас орж, хөрсний гулгалт үүсэж, гол мөрөн үерлэж болзошгүйг анхааруулжээ. Бямба гарагаас нямд шилжих шөнө Хагибис Токио хотод хүрнэ гэж таамаглаж байна.
Японы эрх баригчид тус улсад аялж буй гаднын жуулчдад Хагибис хар салхины талаар мэдээлэл шуурхай хүргэх зорилгоор 24 цагийн төвүүдийг нээгээд байна. Түүнчлэн, олон нийтийн сүлжээгээр гаднын хэл дээр мэдээлэл түгээж байгаа гэнэ. Цаг агаарын байдлаас болж хойшлогдоод байгаа рагбигийн дэлхийн аварга шалгаруулах тэмцээн үзэхээр олон тооны жуулчид тус улсад хүрэлцэн ирээд байгаа билээ.

Сэтгэгдэл ( 1 )
10 сарын 11 бишүү